What Is This Prickly Weed?
go.ncsu.edu/readext?202650
en Español / em Português
El inglés es el idioma de control de esta página. En la medida en que haya algún conflicto entre la traducción al inglés y la traducción, el inglés prevalece.
Al hacer clic en el enlace de traducción se activa un servicio de traducción gratuito para convertir la página al español. Al igual que con cualquier traducción por Internet, la conversión no es sensible al contexto y puede que no traduzca el texto en su significado original. NC State Extension no garantiza la exactitud del texto traducido. Por favor, tenga en cuenta que algunas aplicaciones y/o servicios pueden no funcionar como se espera cuando se traducen.
Português
Inglês é o idioma de controle desta página. Na medida que haja algum conflito entre o texto original em Inglês e a tradução, o Inglês prevalece.
Ao clicar no link de tradução, um serviço gratuito de tradução será ativado para converter a página para o Português. Como em qualquer tradução pela internet, a conversão não é sensivel ao contexto e pode não ocorrer a tradução para o significado orginal. O serviço de Extensão da Carolina do Norte (NC State Extension) não garante a exatidão do texto traduzido. Por favor, observe que algumas funções ou serviços podem não funcionar como esperado após a tradução.
English
English is the controlling language of this page. To the extent there is any conflict between the English text and the translation, English controls.
Clicking on the translation link activates a free translation service to convert the page to Spanish. As with any Internet translation, the conversion is not context-sensitive and may not translate the text to its original meaning. NC State Extension does not guarantee the accuracy of the translated text. Please note that some applications and/or services may not function as expected when translated.
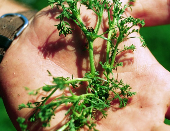
Collapse ▲If you have ever walked barefoot through your lawn in spring and thought you were stepping on sandspurs chances are lawn burweed has infested your yard. Lawn burweed, also known as spurweed (Soliva sessilis), is a common turf weed easily identified by its low ferny foliage and sharp, spiny seed pods that ripen in late spring. Now is the time to spray this weed to prevent these prickly pods from forming.
What Are Winter Weeds?
Many of the weeds commonly seen in winter are cool season annuals. These weeds come up from seed in the fall, grow through winter, flower and set seed in spring, and then die as temperatures warm up in April and May. Henbit, hop clover, chickweed, and lawn burweed are all examples of winter annual weeds that can be found in yards throughout our region.
Currently many winter annual weeds are still fairly small and burweed has not started to produce its sharp, prickly seed pods. Even though they are not very noticeable at the present time, now is the right time to treat lawns infested with burweed and other winter weeds. Once spring arrives it will be too late to control burweed and other winter annuals because their seeds will already have ripened, ensuring a new crop of weeds next winter.
Having a completely weed free lawn is not very realistic and weeds do have some benefits. Many winter weeds provide a valuable early food source for honey bees and other pollinators who are already out foraging. Consider leaving weeds in less noticeable areas to help support our local pollinator population.
How Can I Control Winter Weeds?
For this year, the best way to deal with burweed and other winter annual weeds is to spray a herbicide on your lawn during a week when daily high temperatures are expected to reach at least the low fifties. Which herbicide to use depends on your lawn type. In zoysia and Bermuda lawns, most winter annual weeds can be controlled with herbicides containing a combination of the active ingredients 2,4-D, mecoprop and dicamba. Brand names for these products include Weed-B-Gone, Lesco Three Way, and Speed Zone Southern.
Centipede and St. Augustine lawns are sensitive to 2,4-D. In these lawns instead apply Image, active ingredient Imazaquin, or atrazine. For burrweed control, Image is more effective, though atrazine controls a wider range of winter weeds. Atrazine is sold as Purge II, Image for Centipede and St. Augustine, and HiYield Atrazine.
It is too early to fertilize lawns so avoid using any herbicides that are mixed with fertilizers. These products are commonly referred to as ‘weed and feed’. Wait until April to fertilize zoysia, St. Augustine and Bermuda lawns and do not fertilize centipede yards until early May. Please note: Brand names are included in this article as a convenience to the reader and do not imply endorsement by NC State University nor discrimination against similar products or services not mentioned.
Can Lawn Weeds Be Controlled Without Chemicals?
There are a few organic herbicides available but none will selectively control weeds in lawns. Most organic herbicides contain vinegar, plant oils, or soaps as their active ingredient. They work by burning the plant tissue they come in contact with, and are most effective when sprayed directly on small weeds that have recently sprouted. Corn gluten has been promoted as a natural pre-emergent herbicide but few studies have shown this product to be effective. In addition, corn gluten contains a relatively high nitrogen level, which has the effect of fertilizing weeds.
For the long term, the most effective way to control weeds in turf is to nurture a healthy, dense lawn by following correct cultural practices. These include mowing at the correct height, having any insect or disease problems correctly diagnosed before treating, sending soil samples to the NC Department of Agriculture to determine your nutrient or lime needs, and following turf care recommendations for your lawn type available on the NCSU TurfFiles website, http://www.turffiles.ncsu.edu.
Learn More
Visit your local Cooperative Extension office to learn more about gardening and landscape care. Go to https://www.ces.ncsu.edu/local-county-center/ to find your county Extension center.


